Erdoğan Böyle Öldürülecekti
Dönmez'de ele geçirilen Erdoğan'a yönelik LAW'lı suikast planı ek klasörlerde ayrıntısıyla yer aldı. Başbakanlık konutu ve çevresi krokilerle belirlenmiş...
Üçüncü Ergenekon iddianamesinin ek klasörlerine konulan ve eski Özel Harekât Dairesi Başkan Vekili Şahin'le Yarbay Dönmez'den elde edildiği belirtilen suikast planlarının çizimlerinde her ayrıntı yer alıyor
Ergenekon soruşturmasının temel iddialarından biri olan ve Türkiye'yi karışıklığa götürmek amacıyla planlandığı ileri sürülen suikastlarla ilgili ayrıntıları gösteren çizimler, üçüncü iddianamenin ek klasörlerinde yer aldı. Eski Özel Harekât Dairesi Başkan Vekili İbrahim Şahin ve Yarbay Mustafa Dönmez'den elde edildiği belirtilen suikast planlarının çizimleri, "bazı suikastlarda eylem aşamasına yaklaşmış" diye yorumlanıyor.
41. klasörde iki hedef
Şahin'den ele geçirildiği belirtilen belgeler, Alevi Bektaşi Dernekleri Federasyonu Başkanı Ali Balkız ve Ermeni Patriği Mesrop Mutafyan'a, Yarbay Dönmez'den ele geçirildiği ileri sürülen belgeler Başbakan Recep Tayyip Erdoğan'a yönelik suikast planını gösteriyor.
41. klasörde yer alan ve Şahin'in evinde ele geçirilen belgelere göre suikastı yapacak olan ve S-1 adı verilen tim, özel harekât polisleriyle teğmenlerden oluşuyor. Şahin'in yaptığı bir telefon görüşmesinde, "Türkiye'nin iç temizliğinden sorumluyuz. Çok özel bir birlik kuruyoruz, yani biz yetki olarak da her şeyde, herkesin üstündeyiz. Kimseden emir komuta almıyoruz" sözleri, bu oluşumun önemli kanıtlarından biri olarak gösteriliyor.
Bu belgeler arasındaki suikast planlarından Alevi Bektaşi Dernekleri Federasyonu Başkanı Ali Balkız'a yönelik olanı "6. eylemin icrası" başlığını taşıyor. Planda Balkız'ın evinin bulunduğu sokağın fotoğrafları ve krokisi, hedef alınacak binanın fotoğrafları, cadde ve sokak haritası, eylemin hangi saatte yapılacağına kadar çeşitli ayrıntılar bulunuyor. Planda, söz konusu timin Balkız'a bombalı suikastı nasıl yapacağı ve olay yerinden ayrılış şekli de belirtiliyor.
Belgelere göre, Alevi Bektaşi Dernekleri Federasyonu Genel Sekreteri Kazım Genç'e de bombalı suikast hazırlığı yapılmış. Bu planda eylemi gerçekleştirecek tim mensuplarının isimleri alfabetik sıraya göre gösteriliyor.
Patrik Mutafyan'ın evi
Suikast planlarındaki önemli hedeflerden biri de Ermeni Patriği Mesrop Mutafyan. Krokilerde Mutafyan'ın evinin planları, gidiş geliş güzergâhları ve zamanları da ayrıntılı olarak gösteriliyor.
Şahin'den elde edilen suikast planları arasında Ankara'da büyük bir alışveriş merkezine yönelik eylem planı da var. Bu alışveriş merkezinin bulunduğu nokta harita üzerinde gösteriliyor. Kat planları ayrı ayrı anlatılarak bomba yüklü araçla bir saldırı planlandığı anlaşılıyor.
Erdoğan'a 'LAW'lı saldırı
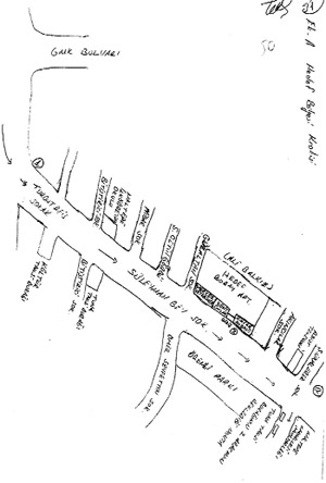
Başbakan Recep Tayyip Erdoğan'a yönelik suikast palanının, tutuklu Ergenekon sanıklarından Yarbay Mustafa Dönmez'in evindeki aramalarda ele geçirildiği belirtiliyor. Bu planın krokilerinde de Başbakanlık konutu ve çevresi, haritalar üzerinde gösteriliyor.
Yarbay Dönmez'in ajandasında Başbakanlık konutunun çevresindeki yürüyüş yolları krokiler halinde yer alıyor. Belgeler arasındaki krokilerde, Ankara Sincan'daki Zir Vadisi'nde silahların bulunduğu nokta da belirtiliyor. Belgeler, Başbakanlık konutuna LAW silahıyla saldırı planının delili olarak sunuluyor.
Başbakan Erdoğan'a suikast planı
Başbakan Recep Tayyip Erdoğan'a yönelik olduğu belirtilen suikast planının krokilerinde Başbakanlık konutu nun çevresi ayrıntılı olarak gösteriliyor. Yürüyüş yolları tek tek belirtiliyor.
Ali Balkız'a suikast planı
